Featured
Last news
Macron heads to Moscow in bid to ease Ukraine tensions
French President Emmanuel Macron heads to Moscow on Monday hoping to reach a deal with Vladimir Putin over Ukraine, at the start of a week of intense diplomacy over fears Russia is preparing an invasion of its pro-Western neighbour.
Myanmar junta denies detained Australian academic released
Myanmar's junta has denied freeing an Australian academic detained for almost a year after Cambodia's leader on Monday took credit for arranging the release.
Embattled rappers fight to speak out in troubled DR Congo
"I don't sing to avenge my family, but because other innocent people who know nothing about politics continue to die," says imprisoned Congolese rapper Idengo.
In conservative Russia, liberal teachers are shown the door
Biology teacher Olga Shchegoleva had not even finished her first six months at a prestigious school in Saint Petersburg when she came under pressure to quit over a sex education blog.
Ex-leader ahead as Costa Ricans elect new president
Costa Ricans voted for a new president Sunday from a crowded field of candidates, with a center-left former leader ahead of the pack with about 60 percent of ballots counted in one of Latin America's stablest democracies.
Australia to reopen borders to tourists on February 21
Australia will reopen its borders to tourists from February 21, Prime Minister Scott Morrison announced Monday, ending some of the world's strictest and longest-running pandemic travel restrictions.
Senegal declares national holiday to celebrate Cup of Nations win
Senegal's President Macky Sall declared Monday a public holiday to celebrate the national football team's first ever African Cup of Nations crown following their victory against Egypt, public television announced.
Diplomatic flurry to avert Russia-NATO clash over Ukraine
With war clouds gathering over Ukraine, international diplomacy goes into overdrive on Monday with the French and Russian presidents to meet in Moscow and the German chancellor heading to the White House to meet with US leader Joe Biden.
Chinese tennis star Peng Shuai repeats sexual assault denial
Chinese tennis star Peng Shuai said she never accused anyone of sexual assault, according to an interview published Monday, again walking back an allegation that sparked worldwide concern about her safety.
Ottawa mayor declares state of emergency over 'out of control' Truckers' protest
The ongoing truckers' protest in the Canadian capital is "out of control," the Ottawa mayor said Sunday, announcing a state of emergency as the city center remained blocked by opponents of anti-Covid measures.
No clear favorite as Costa Ricans elect new president
Costa Ricans voted for a new president Sunday from a crowded field of candidates, with no clear favorite to tackle a worsening economy in one of Latin America's stablest democracies.
Tunisian president dissolves top judicial watchdog, alleging bias
Tunisian President Kais Saied on Sunday dissolved a top independent judicial watchdog, accusing it of bias in his latest controversial move since he sacked the government last year.
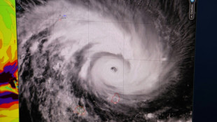
Cyclone Batsirai kills 10, displaces tens of thousands in Madagascar
Cyclone Batsirai killed at least ten people and displaced nearly 48,000 when it struck Madagascar overnight, the national disaster management agency said on Sunday.
Firing from Afghanistan kills 5 Pakistan troops
At least five Pakistan soldiers were killed by firing from neighbouring Afghanistan, Islamabad said Sunday, in an attack claimed by the Pakistani Taliban.
Ukraine plays down Russian invasion fears as US sounds alarm
Ukraine on Sunday pushed back at "apocalyptic predictions" over a potential Russian invasion, after officials in the United States sounded dire warnings that Moscow had stepped up its preparations for a major incursion.
Ukraine plays down Russian invasion risk as US sounds warning
Ukraine's presidency on Sunday insisted the chance of resolving soaring tensions with Russia through diplomacy remained greater than that of an attack, after the US warned Moscow had stepped up preparations for an invasion.
Cyclone Batsirai kills six, displaces tens of thousands in Madagascar
Cyclone Batsirai killed at least six people and displaced nearly 48,000 when it struck Madagascar overnight, the national disaster management agency said on Sunday.
Olympic diplomacy blitz nets Argentina for China's Belt and Road
China welcomed Argentina into its global Belt and Road Initiative Sunday as President Xi Jinping capped a weekend of frenetic diplomatic activity on the sidelines of the Winter Olympics.
Cyclone Batsirai weakens after hitting Madagascar, floods feared
Cyclone Batsirai weakened overnight but floods were still expected due to heavy rain after it hit eastern Madagascar with strong winds, the island's meteorological office said Sunday.
Philippines' raucous election campaign season to kick off
Philippine election candidates will hit the hustings Tuesday for the official start of campaigning, with the son and namesake of former dictator Ferdinand Marcos leading the presidential race as he seeks the ultimate revival of the family brand.
US officials say Russia preparing full-scale invasion of Ukraine
Russia has stepped up preparations for an all-out invasion of Ukraine but it is not clear if Moscow has decided to take such a step, US officials have said citing intelligence assessments.
Costa Ricans choose among 25 presidential candidates
Costa Ricans head to the polls Sunday with a crowded presidential field and no clear favorite for tackling growing economic concerns in one of Latin America's stablest democracies.
French far-right hopeful Zemmour attacks welfare handouts
French far-right presidential candidate Eric Zemmour on Saturday used a meeting in the northern city of Lille to launch a tirade against welfare handouts.
Cuba slaps new tax on food sales as economic woes hit hard
Cuba on Saturday announced a new 10 percent tax on retail food sales, as the country endures economic woes marked by rampant inflation.
Marchers demand justice for Congolese migrant brutally killed in Rio
Hundreds of people marched Saturday in Brazil to demand justice for a young Congolese immigrant who was beaten to death in a bar on a Rio de Janeiro beach.
Contact group urges resumed talks by Venezuela parties
A group of European and Latin American countries on Saturday urged Venezuelan authorities and opposition leaders to resume their dialogue in Mexico aimed at resolving the country's political and economic crises.
In city near border, Ukrainians protest Russian threat
A Ukrainian flag wrapped around her shoulders, pensioner Iryna Gayeva had a simple message as she demonstrated in second city Kharkiv on Saturday, just 40 kilometres from the Russian border.
'Widespread damage' feared as Cyclone Batsirai hits Madagascar
Cyclone Batsirai struck Madagascar's eastern region on Saturday with strong winds and heavy rain, the second storm to hit the island nation in just a few weeks, a senior meteorologist said.
French far-right hope Zemmour attacks welfare handouts
French far-right presidential candidate Eric Zemmour on Saturday used a meeting in the northern city of Lille to launch a tirade against welfare handouts.
Cyclone Batsirai nears Madagascar, 'widespread damage' feared
Powerful Cyclone Batsirai was closing in on eastern Madagascar Saturday as residents sought secure shelter or reinforced their roofs with sandbags after warnings that "widespread damage" was feared.
Iran says US sanctions move 'good but not enough'
US steps on lifting sanctions are "good but not enough", Iran said on Saturday, following Washington's announcement it was waiving sanctions on Iran's civilian nuclear programme.
Sculpture of Algerian hero vandalised in France
Vandals in central France damaged a sculpture of an Algerian military hero who resisted France's colonisation of the North African country, just hours before it was inaugurated Saturday, AFP journalists reported.