Featured
Last news
Iran says US sanctions move 'good but not enough'
US steps on lifting sanctions are "good but not enough", Iran said on Saturday, following Washington's announcement it was waiving sanctions on Iran's civilian nuclear programme.
Sculpture of Algerian hero vandalised in France
Vandals in central France damaged a sculpture of an Algerian military hero who resisted France's colonisation of the North African country, just hours before it was inaugurated Saturday, AFP journalists reported.
Israel dispute erupts at African Union summit
Palestinian prime minister Mohammed Shtayyeh on Saturday urged the African Union to withdraw Israel's accreditation, bringing simmering tensions to a head as the 55-member bloc opened a two-day summit in Addis Ababa.
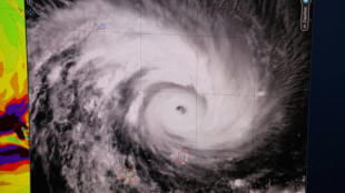
Cyclone Batsirai approaches Madagascar, poses 'very serious threat'
Madagascar braced up for Cyclone Batsirai set to hit the eastern parts of the Indian Ocean island on Saturday, with powerful winds and torrential rains posing a "very serious threat" to millions.
Norway's Johaug wins first gold medal of Beijing Winter Olympics
Norwegian cross-country skier Therese Johaug won the first gold medal of the Beijing Olympics on Saturday as sport moved centre stage after a troubled build-up dominated by coronavirus and rights concerns.
China's Xi hosts world leader banquet after two years of isolation
Chinese President Xi Jinping hosted a banquet on Saturday for heads of state and international organisations attending the Winter Olympics, part of a diplomatic blitz following nearly two years without face-to-face meetings due to the pandemic.
Germany's Scholz seeks to build trust in Washington debut
Olaf Scholz makes his Washington debut as German chancellor on Monday, trying to dispel doubts over Berlin's resolve to stand up to Russia in the standoff over Ukraine.
Coups and Covid loom large at African Union summit
Heads of state gathered Saturday at the African Union headquarters to kick off a two-day summit as the continent reels from a spate of military coups and the coronavirus pandemic.
Russia rejects Colombian 'foreign interference' claims
Russia on Friday dismissed Colombian claims of "foreign interference" on the side of Venezuela as the South American neighbors quarrel over deadly fighting on their common border.
Sending mercenaries to Libya main income source for Darfur armed groups: UN
Providing mercenaries in Libya's internal conflict has become the main source of revenue for armed groups from Sudan's own war-torn Darfur region, the United Nations said in a report Friday.
US probe finds single attacker in Kabul evacuation bombing
An attack that killed at least 173 people including 13 US service members during the chaotic Kabul airport evacuation last year was undertaken by a single suicide bomber, a Pentagon investigation concluded Friday.
In Chernobyl ghost town, Ukraine forces train for combat
Machine gun fire echoed through the abandoned buildings of Pripyat in the Chernobyl Exclusion Zone, as Ukrainian National Guard troops on Friday staged urban combat exercises.
China ups stakes for Biden by backing Moscow against West
China's support for Russia in the standoff over Ukraine upends the strategic calculus for US President Joe Biden, who must now contend with a second front in a geopolitical fight whose ramifications could be felt worldwide.
Venezuela marks 30 years since Chavez's failed but career-launching coup
The Venezuelan president's daughter was on the telephone when the first shells hit the official residence in Caracas 30 years ago in a coup attempt led by a then-unknown paratrooper, Hugo Chavez.
Beijing Olympics open under shadow of rights fears and Covid
President Xi Jinping declared the Beijing Winter Olympics open Friday as China tried to turn the page on a build-up overshadowed by human rights concerns, Covid and a US-led diplomatic boycott.
US lawmakers to vote on China competition bill
US lawmakers were due to vote Friday on a multibillion-dollar bill aimed at jumpstarting high-tech research and manufacturing, countering China's growing influence and easing a global shortage of computer chips.
Stoltenberg to leave NATO after battle to keep US in and Russia out
NATO's outgoing leader Jens Stoltenberg will leave the alliance late this year after a diplomatic battle to hold it together against outside threats and the clashing egos of its national leaders.
Macron the mediator wades into Russia-Ukraine crisis
French President Emmanuel Macron will fly to Russia and Ukraine next week in an attempt to avert conflict between the neighbours, reprising his role as a crisis mediator that has produced limited results in the past.
NIreland court orders post-Brexit port checks to resume
Northern Ireland's High Court on Friday issued an interim order suspending a decision by Agriculture Minister Edwin Poots to stop post-Brexit checks on agri-food moving to and from mainland Britain.
European stocks retreat after positive start, oil surges
European equities retreated from a positive start Friday as investors await key US jobs data after being spooked by a possible eurozone interest rate hike and the crash of Facebook owner Meta's shares.
Russia wins Chinese backing in showdown over Ukraine
Russia won China's backing in its showdown with the West over Ukraine on Friday, as Beijing agreed with Moscow that the US-led NATO military alliance should not admit new members.
Beijing Olympics opening ceremony starts under cloud of Covid, rights fears
The opening ceremony of the Beijing Winter Olympics began on Friday as China attempted to turn the page on a troubled build-up overshadowed by human rights concerns and Covid.
Death of IS chief: what we know
A day after the death of Islamic State leader Abu Ibrahim al-Qurashi during a US raid in Syria, many questions remain on the operation and the jihadist group's future.
Myanmar's Suu Kyi back in court after health no-show
Ousted Myanmar leader Aung San Suu Kyi returned to a junta court on Friday after skipping a previous hearing because she felt unwell, a source with knowledge of the case said.
After eight years of war, Ukraine's army a tougher prospect
When he arrived at the front line as a volunteer to fight Russian-backed separatists in 2014, Pavlo Dolynskiy found Ukraine's army in a desperate state.
'Bless that woman': Hondurans look to tiny icon, and a new president, for hope
Thousands of Honduran believers descended on their country's most famous religious icon Thursday, praying for an end to the Catholic nation's crippling poverty and success for their newly elected leftist leader.
Ahead of Beijing Games, is China really 'a winter sport country'?
Beijing says it met and even exceeded its target to make more than 300 million Chinese people winter sports enthusiasts since it won the bid to host the Winter Olympics.
Nicaragua court finds activists guilty of 'conspiracy'
A Nicaraguan court Thursday found two prominent opposition figures guilty of "conspiracy," according to a human rights organization which condemned the trial as "null and void" for taking place behind closed doors.
Costa Rica: Central America's green pin-up
Costa Rica, which elects a new president Sunday, is a small country thriving on ecotourism. Its neutrality, strong democracy and political stability have earned it the nickname of Central America's Switzerland.
Ex-heavyweights resurrected in Costa Rica polls, but election still unclear
There is a feeling of uncertainty hanging over one of Latin America's most stable democracies as Costa Rica heads to the polls on Sunday with a crowded presidential field and no clear favorite.
Private military contractors bolster Russian influence in Africa
Russia's geopolitical ambitions in Africa have in recent years been backed by private military contractors, often described as belonging to the "Wagner group" -- an entity with no known legal status.
Repsol says Peru oil spill will be cleaned up in March
Spanish energy giant Repsol on Thursday vowed to finish by March cleaning up a devastating oil spill that has polluted beaches and killed wildlife.