Destacadas
Últimas noticias
China acusada de apropiarse cultura coreana en ceremonia de apertura de Juegos de Pekín
Un candidato a la presidencia en Corea del Sur acusó el sábado a China de apropiarse de la cultura de su país en la ceremonia de apertura de los Juegos Olímpicos de Invierno de Pekín, en la que apareció una figurante con un atuendo tradicional coreano.
Las fuerzas ucranianas se entrenan para el combate en pueblo fantasma de Chernóbil
El estruendo de las ametralladoras resonó entre los edificios abandonados de Pripyat, en la Zona de Exclusión de Chernóbil, donde soldados de la Guardia Nacional Ucraniana realizaron el viernes ejercicios de combate urbano.
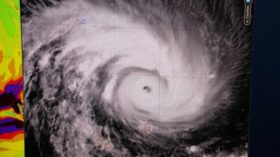
El ciclón Batsirai se acerca a Madagascar y plantea "amenaza muy seria"
El ciclón Batsirai debe llegar el sábado al este de Madagascar con fuertes vientos y lluvias torrenciales que plantean una "amenaza muy seria" para millones de personas en el país insular.
Gobierno de Biden evalúa pagos digitales para envío de remesas a Cuba
El gobierno del demócrata Joe Biden evalúa los pagos digitales "como parte de las soluciones innovadoras" que estudia para facilitar la transferencia de dinero de Estados Unidos a Cuba, dijo el viernes una funcionaria estadounidense.
Exvicepresidente Pence rechaza afirmación de Trump de que podía revocar las elecciones
El exvicepresidente republicano de Estados Unidos Mike Pence dijo el viernes que no tenía el derecho a revocar las elecciones de 2020 y que el expresidente Donald Trump se equivocó al afirmar que él podría haberlo hecho.
La justicia de Irlanda del Norte ordena retomar los controles posbrexit
El Tribunal Superior de Irlanda del Norte suspendió provisionalmente el viernes la orden del ministro norirlandés de Agricultura de cesar los controles agroalimentarios posbrexit para los productos de Gran Bretaña.
Lo que se sabe de la muerte del jefe del EI
Un día después de la muerte del líder de Estado Islámico (EI), Abu Ibrahim al Qurashi, en una operación de Estados Unidos en Siria, quedan muchos interrogantes sobre la intervención y sobre el futuro del grupo yihadista.
Cadena perpetua para un acusado de los atentados del metro de Moscú en 2010
Un tribunal militar ruso condenó el viernes a cadena perpetua al único organizador aún en vida de dos atentados mortales en el metro de Moscú en 2010, en los que murieron 39 personas y casi 90 resultaron heridas.
El ejército de Ucrania, modernizado y con experiencia en combate tras ocho años de guerra
Cuando llegó al frente como voluntario para luchar contra los separatistas prorrusos en 2014, Pavlo Dolynski se encontró con que el ejército ucraniano estaba en un estado calamitoso. Pero tras ocho años de conflicto, reformas y ayuda occidental, las cosas han cambiado mucho.
Suu Kyi regresa a los tribunales de la junta militar birmana tras una ausencia por motivos de salud
La destituida líder de Birmania Aung San Suu Kyi regresó el viernes ante un tribunal de la junta militar después de haber faltado a una audiencia anterior por problemas de salud, informó una fuente con conocimiento del caso.
Trudeau desestimó usar a militares para aplacar la protesta antivacunas de camioneros en Canadá
El primer ministro canadiense, Justin Trudeau, desestimó el jueves la idea de utilizar a los militares para desalojar a los manifestantes que se oponen a los mandatos de la vacuna obligatoria contra el covid-19, cuyo convoy de grandes camiones está obstruyendo el centro de Ottawa.
Una exguerrillera y un líder estudiantil que encaró a Ortega, culpables de "conspiración" en Nicaragua
La justicia nicaragüense declaró este jueves culpable por "conspiración" a la exguerrillera sandinista Dora María Téllez y al líder estudiantil Lesther Alemán, símbolo de las protestas del 2018 contra el gobierno de Daniel Ortega, informaron organismos de derechos humanos.
De una granja de Kansas a las filas del EI, el confuso viaje de una yihadista de EEUU
¿Cómo se pasa de vivir en una granja en Kansas a liderar un batallón de mujeres del Estado Islámico (EI)? La radicalización de la estadounidense Allison Fluke-Ekren, atrapada por la justicia de su país tras años dentro de la organización yihadista, sigue en gran parte sin explicación.
España eliminará la obligación de usar mascarilla al aire libre
España eliminará el martes la obligación de llevar mascarilla al aire libre, una medida instaurada en diciembre en plena escalada de contagios del covid-19, gracias a la actual mejora de los indicadores sanitarios, anunció el viernes la ministra de Sanidad, Carolina Darias.
Reunión entre Xi y Putin en medio de tensiones con Occidente
En medio de una creciente tensión con Occidente, el presidente chino Xi Jinping y su homólogo ruso Vladimir Putin demostrarán su cercanía este viernes con una reunión en persona en Pekín horas antes de la apertura de los Juegos Olímpicos de Invierno.
La cosecha de sal marina, un oficio transmitido de madres a hijas en Yemen
En un pueblo costero en el sur de Yemen, Zakia Obeid y sus colegas recogen sal en decenas de fosas cavadas por ellas mismas, un oficio centenario transmitido de generación en generación.
Analistas auguran tregua de ensayos de armas de Corea del Norte durante los Juegos
Analistas auguran una tregua en el frenesí de ensayos militares de Corea del Norte durante los Juegos Olímpicos de Invierno de Pekín, después de que el líder norcoreano Kim Jong Un enviara este viernes "cálidas felicitaciones" a Pekín.
Europa media en la crisis de Ucrania mientras EEUU advierte de una conspiración rusa
Los presidentes de Francia y Turquía trataron de mediar el jueves en la crisis de Ucrania, mientras Estados Unidos alertó de unos supuestos videos falsos preparados por Rusia para justificar la invasión de su vecino prooccidental.
Repsol promete terminar en marzo limpieza de derrame en costa de Perú
La petrolera española Repsol prometió este jueves terminar en marzo la limpieza de la costa central de Perú, afectada por un derrame en el mar de casi 12.000 barriles de crudo, el 15 de enero.
Cómo se fraguó y ejecutó el raid con que EEUU acabó con el jefe del EI
A comienzos de diciembre, la inteligencia estadounidense estaba segura: el hombre que ocupaba el piso más alto de una casa cualquiera en Atme, al norte de Siria, que nunca dejaba el edificio y solo salía para tomar una ducha en el techo, era el jefe del grupo Estado Islámico (EI).
Conmoción en ciudad siria de Atme tras la muerte del jefe del EI
Cuando las fuerzas estadounidenses empezaron a sobrevolar el miércoles la localidad siria de Atme, donde se escondía el jefe del grupo Estado Islámico, Mahmud Shehadé confundió el ruido de los helicópteros con una tormenta.
Macron discute con Putin y Zelenski y Europa intenta resolver la crisis de Ucrania
El presidente francés, Emmanuel Macron, discutió este jueves separadamente con sus pares de Rusia Y Ucrania, Vladimir Putin y Volodomir Zelenski, sobre las crispaciones internacionales en torno a Ucrania, que diversas gestiones europeas intentan apaciguar.
Pakistán dice que siete soldados murieron en un ataque y los rebeldes aseguran que son decenas
Siete soldados paquistaníes y al menos 13 militantes murieron en choques en la provincia de Balochistán, informó el jueves el Ejército, aunque los rebeldes separatistas aseguran fueron decenas los militares muertos.
El primer ministro de Irlanda del Norte dimite en plena crisis posbrexit
El primer ministro norirlandés, Paul Givan, anunció su dimisión, en un contexto de descontento de los unionistas con las disposiciones aduaneras posbrexit en la provincia británica, que según ellos amenazan el lugar de Irlanda del Norte dentro del Reino Unido.
El discreto inicio del canciller alemán alimenta críticas y lastra su popularidad
La pregunta "¿Dónde está Olaf Scholz?" es un éxito en las redes sociales en Alemania e ilustra las críticas contra el nuevo canciller, considerado demasiado discreto en temas como la crisis en Ucrania o la pandemia.
El jefe del EI muere durante una operación de EEUU en Siria
El dirigente del grupo yihadista Estado Islámico (EI), Abu Ibrahim al Hashimi al Qurashi, murió durante una operación de las fuerzas especiales de Estados Unidos el jueves en Siria, más de dos años después de la eliminación de su predecesor.
Cumbre de dirigentes de África Occidental descarta nuevas sanciones a Burkina Faso
Burkina Faso evitó el jueves nuevas sanciones por parte de la Comunidad Económica de Estados de África Occidental (CEDEAO), una región agitada en los últimos meses por varios golpes e intentonas golpistas.
En las crisis que sacuden al mundo, Rusia lidera las discusiones en la ONU
Ucrania, Siria, Libia, Sudán, República Centroafricana, Malí... Rusia juega un papel protagonista en el Consejo de Seguridad de la ONU, tanto en grandes como en pequeños asuntos y en un contexto de aparente pasividad de Estados Unidos.
Dieciséis emigrantes desaparecidos en un naufragio cerca de las islas Canarias
Dieciséis personas desaparecieron en el naufragio de una embarcación con migrantes cerca del archipiélago español de las islas Canarias, informaron a la AFP el jueves fuentes oficiales.
Comité del Senado evalúa a candidatos de Biden para diversificar la Fed
Los tres economistas con los que el presidente Joe Biden quiere aportar diversidad a la poderosa Reserva Federal de Estados Unidos deberán sortear críticas este jueves ante el comité bancario del Senado, que decidirá su nombramiento.
Biden enfrenta acusaciones de debilidad frente a los rivales de EEUU
¿Es Joe Biden "débil" frente a Vladimir Putin, Teherán o Pyongyang? Eso afirman los opositores al presidente de Estados Unidos, que intenta conciliar firmeza y pragmatismo para superar varias crisis internacionales y centrarse en la competencia con China.
La llama olímpica se pasea por la Gran Muralla antes del inicio de Pekín-2022
La llama olímpica se paseó este jueves por la Gran Muralla china. Los organizadores de los Juegos Olímpicos de invierno de Pekín-2022 decidieron que pasara por el símbolo por excelencia del país asiático, un día antes de la ceremonia de apertura de un evento marcado por la amenaza de la epidemia y tensiones políticas.