Pallade Veneta - La isla estadounidense de Guam se prepara para el impacto del supertifón Mawar

La isla estadounidense de Guam se prepara para el impacto del supertifón Mawar


La isla estadounidense de Guam se prepara para el impacto del supertifón Mawar
La isla estadounidense de Guam se prepara para el impacto del supertifón Mawar / Foto: José Romero - Noaa/Rammb/AFP

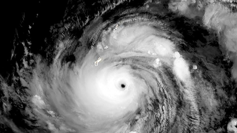
El supertifón Mawar, con vientos potencialmente catastróficos, se dirige directamente a la isla de Guam, territorio de Estados Unidos situado en el Pacífico y puesto militar de crucial importancia.

Tamaño del texto:

Según un informe del Servicio Meteorológico Nacional (NWS, por sus siglas en inglés), Mawar se estaba intensificando hasta convertirse en un supertifón de categoría cinco, con vientos máximos sostenidos de 255 kilómetros por hora.

"Estoy preocupado por la seguridad de nuestra gente. Es la primera tormenta de esta magnitud en 20 años", dijo el gobernador Lou Leon Guerrero.

En su trayectoria actual, Mawar pasará directamente sobre la isla de 170.000 habitantes, desatando lluvias torrenciales e inundaciones extremas. "Se prevé que Mawar se intensifique a lo largo de la noche", dijo el NWS.

A las 04H00 locales del miércoles (18H00 GMT del martes), la tormenta estaba 135 kilómetros al sureste de Guam, con vientos máximos sostenidos de 155 km/h, dijo la oficina del NWS en Guam en una advertencia.

"El paso muy cerca o directamente sobre Guam es inminente", dijo el meteorólogo.

"La triple amenaza del supertifón Mawar son las lluvias torrenciales que pueden provocar deslizamientos de tierra e inundaciones repentinas, vientos catastróficos e inundaciones costeras potencialmente letales", dijo.

Los vientos podrían alcanzar ráfagas de hasta 320 km/h, provocando daños importantes en edificios y casas hechos de materiales livianos.

En las costas, los grandes barcos "podrían ser arrancados de las amarras".

Las autoridades ordenaron la evacuación de las zonas costeras bajas, especialmente en las aldeas del sur propensas a inundaciones, y pidieron a todos que "se refugien inmediatamente" ante los vientos destructivos que se esperan para el miércoles por la mañana.

Unos 21.700 militares estadounidenses y sus familias tienen su base en o cerca de varias instalaciones de Guam, que habitualmente alberga submarinos nucleares de ataque, bombarderos de largo alcance y puestos de escucha electrónica.

Las bases estadounidenses también alojan algunas de las instalaciones de almacenamiento de municiones y combustible más importantes de la región del Pacífico.

Según las previsiones, las precipitaciones podrían provocar deslizamientos de tierra en el centro y el sur de la isla, advirtió el servicio meteorológico.

El presidente de Estados Unidos, Joe Biden, declaró el martes el estado de emergencia para Guam, para que se pueda proporcionar ayuda federal a la isla, según un comunicado de la Casa Blanca.

Alrededor de 60 vuelos hacia y desde Guam programados entre el martes y el jueves fueron cancelados, según el Aeropuerto Internacional A.B. Won Pat.

Se prevé que las condiciones mejoren el jueves.

A.Fallone--PV